$115,000
$135,000
14.8%For more information regarding the value of a property, please contact us for a free consultation.
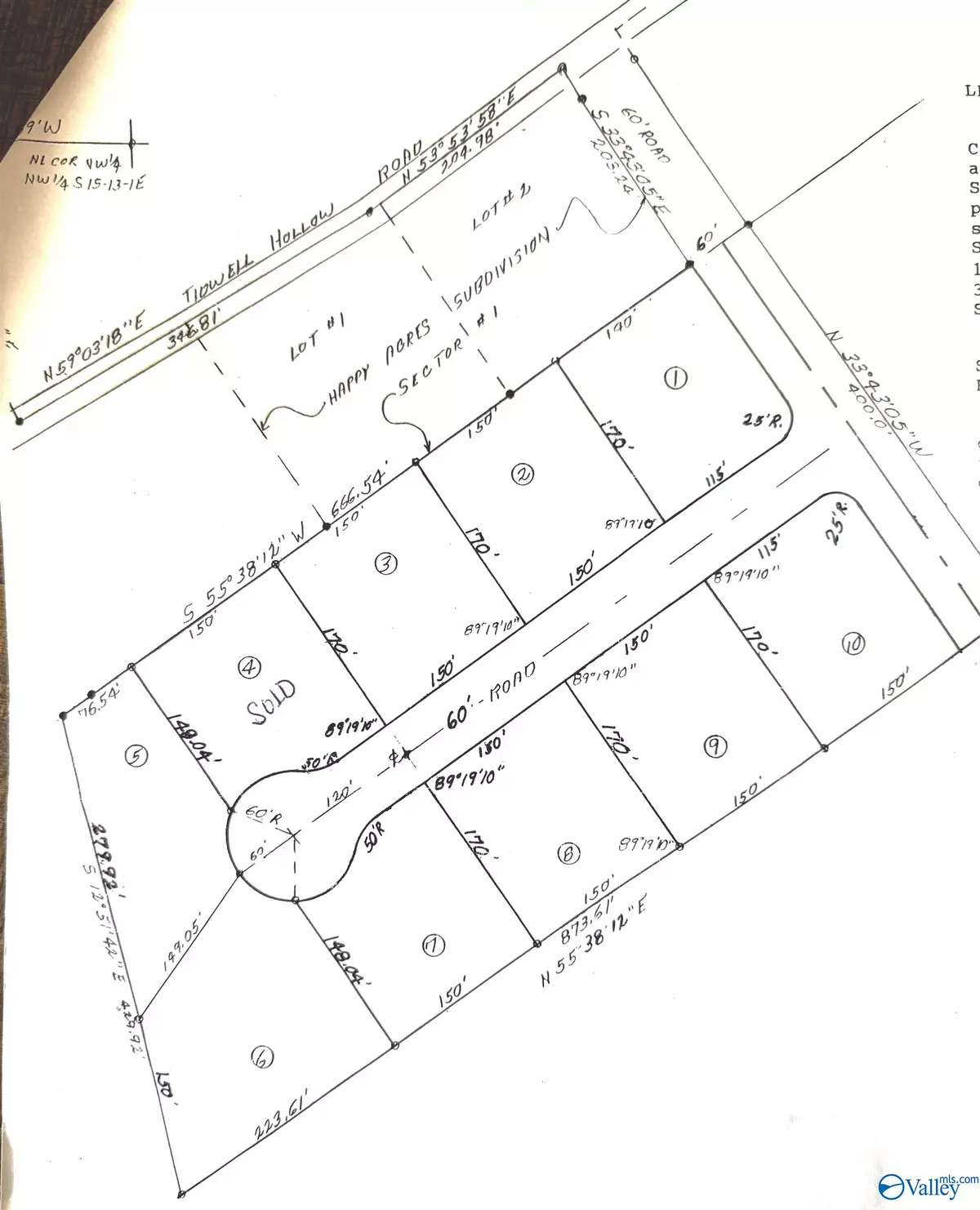
9 lots Hem Lane Oneonta, AL 35121
5.3 Acres Lot
Key Details
Sold Price $115,000
Property Type Vacant Land
Sub Type LOT
Listing Status Sold
Purchase Type For Sale
Subdivision Happy Acres
MLS Listing ID 21902656
Sold Date 11/21/25
HOA Y/N No
Lot Size 5.300 Acres
Acres 5.3
Property Sub-Type LOT
Source Valley MLS
Property Description
Excellent builder or developer opportunity! 9 lots available. Restrictive covenants & plat in photos. Public water and gas at road; septic required per lot. Professional photos coming soon! Lot Acreage 1 - 0.50 2 - 0.60 3 - 0.60 5 - 0.60 6 - 0.80 7 - 0.50 8 - 0.60 9 - 0.60 10 - 0.50
Location
State AL
County Blount
Direction Take Hwy 75 Towards Allgood. Turn Right By Blessings By Day Childcare Onto Tidwell Hollow Rd. Follow Tidwell Hollow Rd To Hem Lane, Turn Right Onto Hem Lane.
Interior
Fireplace No
Exterior
Present Use Single Family
Building
Lot Description See Remarks
Sewer Other
Water Public
New Construction No
Schools
Elementary Schools Oneonta
Middle Schools Oneonta
High Schools Oneonta
Others
Tax ID 9 LOTS SEE REMARKS
Read Less
Want to know what your home might be worth? Contact us for a FREE valuation!

Our team is ready to help you sell your home for the highest possible price ASAP

Copyright
Based on information from North Alabama MLS.
Bought with Leading Edge Re Group-Gtsv.



